DeKalb city could get new neighborhood of 36 small homes

One of DeKalb County’s tiniest cities is continuing its venture into the world of smaller houses.
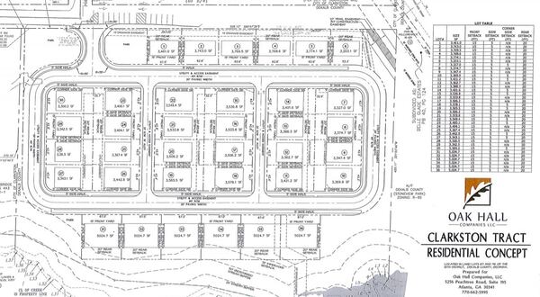
The city of Clarkston on Tuesday took the first step toward allowing a developer to build a new neighborhood of cottage-style homes on smaller-than-normal lots.
The new 36-home subdivision would sit in the southeast corner of the small DeKalb County city, at the end of East Avenue. The land currently consists of one occupied home, an unoccupied home and vacant, wooded lots.
The City Council on Tuesday night voted that lot sizes for nearly all of the new single-family homes in this development can be smaller than what is normally required by city law. In Clarkston, homes in high-density areas like this one usually must be built on lots no smaller than 5,000 square feet, about a 10th of an acre. The developers, Oak Hall Companies, had requested a variance for the minimum lot sizes to be reduced to 3,000 square feet.

The council also approved a 20% reduction in the minimum width of the lots, from 50 feet to 40 feet.
“Even one of the planning commissioners said several times ... that this is exactly the kind of housing that Clarkston needs,” William “Tad” Braswell, a representative for Oak Hall, told the council during Tuesday’s meeting.
The houses themselves will be between 1,200 and 1,400 square feet, Braswell told The Atlanta Journal-Constitution. For comparison, the median size of a newly built American single-family home was about 2,400 square feet in 2017, according to census data.
They will cost between $280,000 and $320,000, Braswell said, with the target market being millennials and empty-nesters looking to stay in the Atlanta area.

It’s not the first time Clarkston has embraced the idea of smaller homes. In May, they approved a “tiny home neighborhood,” where eight small houses will be built on a half-acre lot.
» READ MORE: Georgia’s first ‘tiny home neighborhood’ coming to metro Atlanta
Councilman Jamie Carroll has also proposed a rewrite of the city's zoning code that would cut the sizes of most residential lots in half. That plan was met with frustration from many residents, and the city has since said it will hire a professional firm to review the idea.
The subdivision development on East Avenue would require the clearing of trees on the 4.5-acre piece of land. Several residents spoke out Tuesday against the plan, saying the decision to reduce lot sizes could set a precedent for more aggressive, high-density developments in the city.
MORE DEKALB NEWS:
» After recent break-ins, Dunwoody police say to not hesitate calling 911
» Developer illegally cut down thousands of trees near river, county officials say
One neighbor, Lisa Williams, said the 36-home proposal stems from a “purely financial desire to put more units (on the land).”
The Planning and Zoning Board previously voted to deny the developers’ request, though city staff said council should approve it, adding several conditions.
Hazel Poe owns the property that would be developed and has lived there for 57 years. She told the City Council that although she plans to sell the land and move out, she looks forward to seeing Clarkston grow.
“Clarkston is going through a beauty change ... Clarkson had an old hairdo and now it’s being redone,” Poe said. “I love the property, and I want the people that are going to live there to enjoy it the way we enjoyed it.”
Tuesday's vote only concerned the lot sizes of the parcels; Oak Hall now plans to apply for other permits including a land disturbance permit before construction can begin this fall. Braswell said he hopes to begin selling the homes next spring.
Follow DeKalb County News on Facebook and Twitter
In other news:


