New hotel approved in Snellville

UPDATE: The Snellville City Council voted unanimously Monday night to approve the zoning change necessary to bring a five-story Hampton Inn and Suites to Pharrs Road.
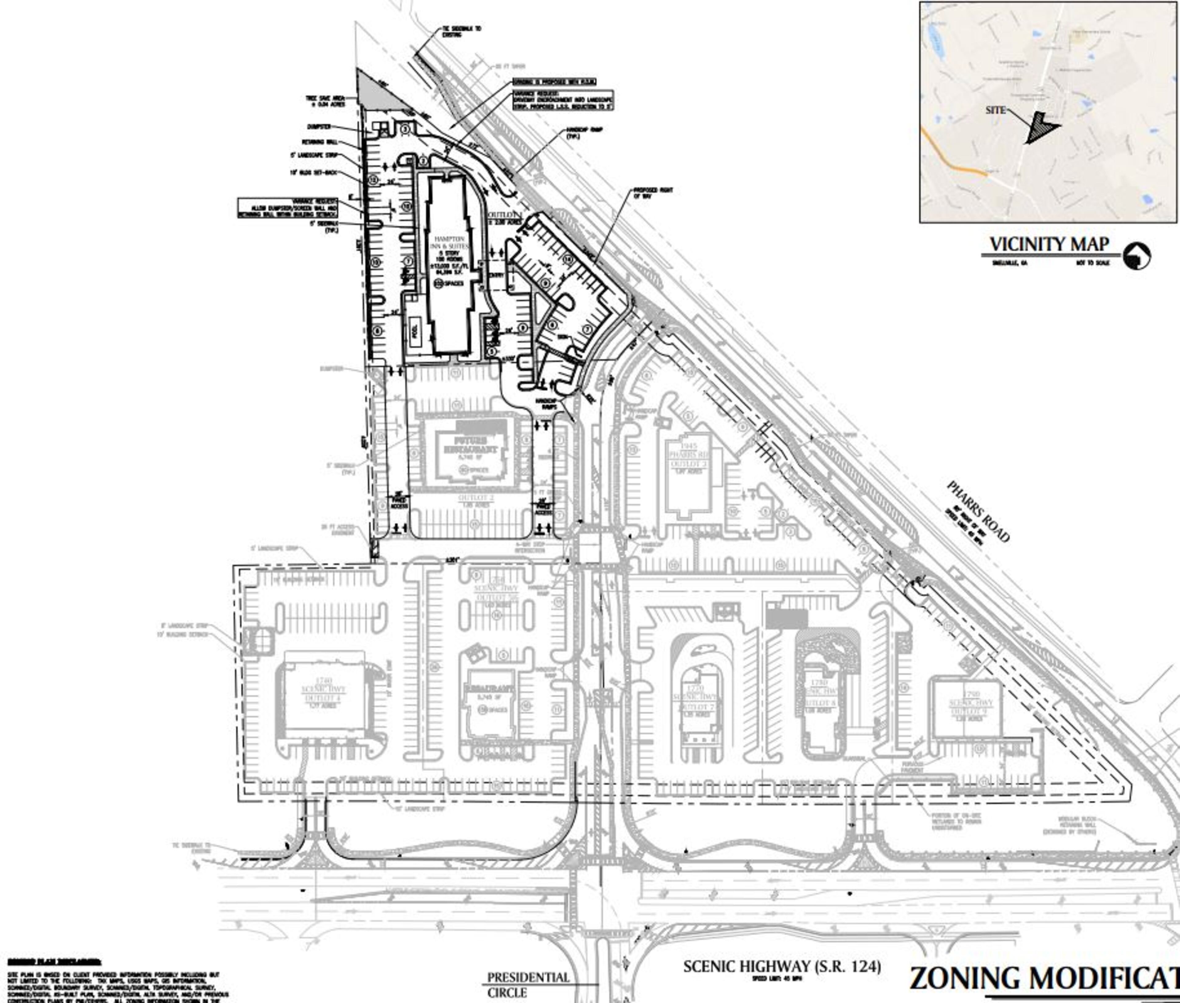
ORIGINAL STORY: Developers are hoping to build a five-story hotel near an already bustling Snellville intersection — and the city council is slated to consider the proposal at its Monday night meeting.
According to documents submitted to the city's planning commission, the team behind Park Place — the shopping center off Ga. 124 and Pharrs Road that already boasts several new restaurants and a recently opened Cracker Barrel location — now wants to build a Hampton Inn and Suites.
In order for that to happen, the city would have to approve a change in the previously approved zoning conditions for the property. Snellville’s planning commission recommended approval at its Feb. 28 meeting.
The final decision is now in the hands of the city council. The hotel proposal is on the agenda for its meeting that begins at 7:30 p.m. Monday.
“Despite the strong growth and economic development that Snellville has enjoyed over recent years, there remains a significant undersupply of hotel rooms with City limits,” the application, filed by attorneys from Mahaffey Pickens Tucker LLC, says. “The proposed development would provide an important complement to the City’s growing commercial and office/institutional districts and contribute positively to the City’s hotel/motel tax collections.”
The hotel would be five stories and offer more than 100 rooms, documents said. It would be situated on a two-acre plot on the south side of Pharrs Road.
Snellville City Councilman Roger Marmol wrote on Facebook on Sunday that he’d received “many emails, letters and calls” about the project.
The Park Place shopping center already includes a new Zaxby's and a recently opened Freddy's Frozen Custard and Steakburgers. The Cracker Barrel location, which fronts Ga. 124 and broke ground in September, opened earlier this month.
Several other projects have also recently opened in the nearby area. Those include Gwinnett County's first Cook Out location, a neighboring Taco Bell and Ovation Cinema Grill, a dine-in movie theater.



