The Lawrenceville City Council recently approved a new ordinance that will allow them to sell or transfer narrow strips of property owned by the city which are so small as to be incapable of being used independently. The property can be sold to abutting owners.
The ordinance allows the city to sell these small strips of land without taking them to auction or soliciting sealed bids. Abutting property owners will be notified of the availability of the property and have an opportunity to present a proposal to purchase.
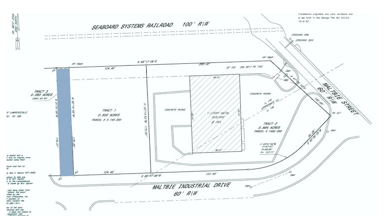
In their first execution of the new ordinance, the city will solicit offers to purchase the Maltbie Industrial small tract, a small strip of land adjacent to 295 Maltbie Street on Maltbie Industrial Drive.
About the Author
Keep Reading
The Latest
Featured



