Suwanee postpones zoning hearing for townhomes on Eva Kennedy Road

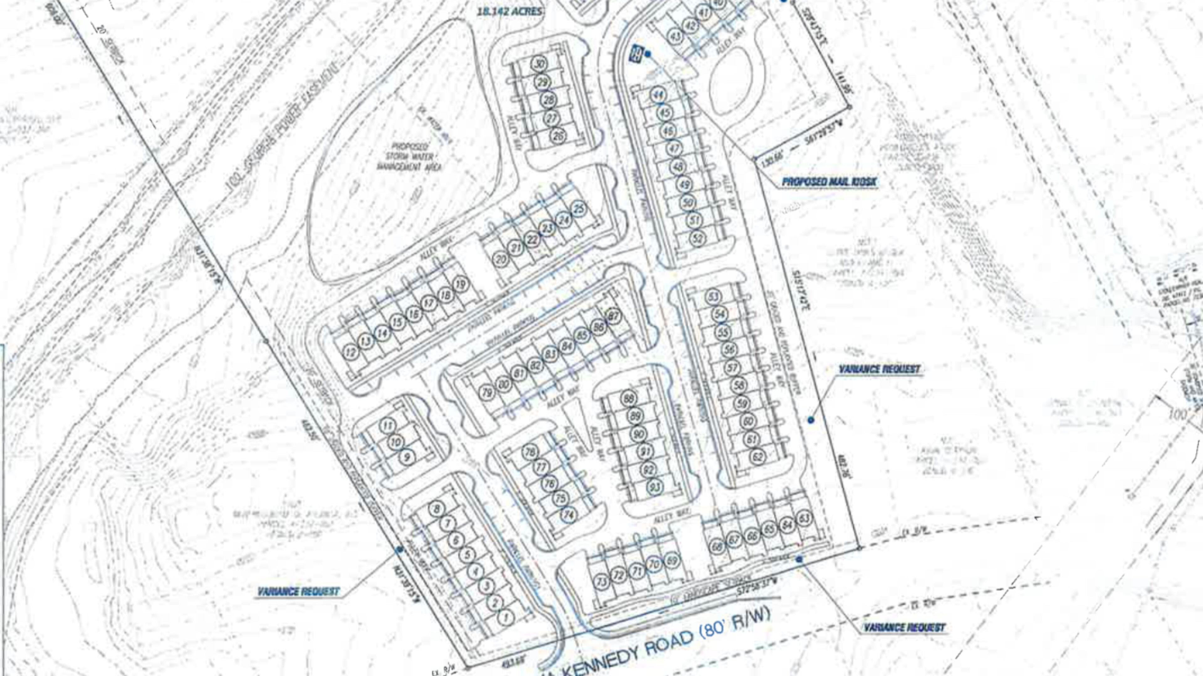
The Suwanee City Council recently postponed a public hearing for a rezoning request by Spartan Investors I LLC that would make way for townhomes at 641 Eva Kennedy Road. The property in question is owned by Suwanee First Baptist Church and is currently zoned for single-family residential homes. The proposed zoning change would allow for the construction of 93 townhomes.
The 18.1 acres is dissected by a 150-foot power line easement and stream that separates the northern and southern portions of the land. The proposed development would be south of the power lines.
If approved as presented, there would be 5 townhomes per acre with rear-loading 2-car garages and a minimum of 1,800 square feet. The brick front and side 2-3 story units would have one entrance off Eva Kennedy Road.
The Suwanee city council has moved this public hearing to Feb. 27 at City Hall, 330 Town Center Ave.

