Peachtree Corners approves storage facility on PIB

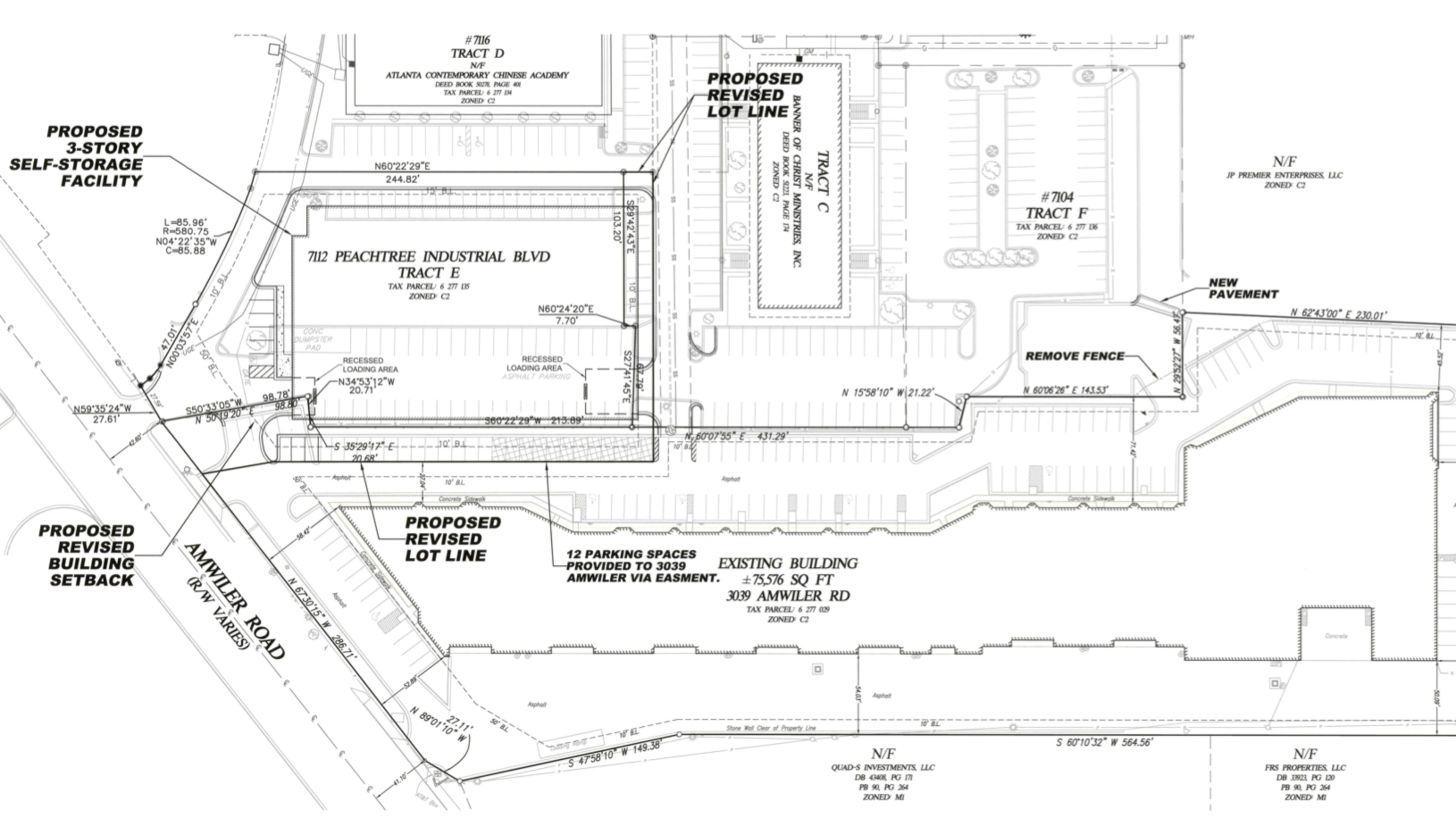
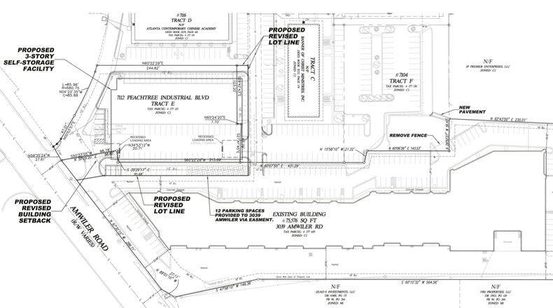
The Peachtree Corners City Council recently approved a special use permit for a mini-warehouse storage facility at 7112 Peachtree Industrial Boulevard. Although the site is addressed along Peachtree Industrial Boulevard, it actually fronts Amwiler Road just east of Winters Chapel Road.
The applicant has provided a conceptual site plan and elevations showing a three-story building made of brick and stucco with glass storefront and windows. The access to the building is provided from the existing Amwiler Road driveway.
The WePartner Storage Facility approval comes with conditions related to the number of parking spots, and interior finish permits before occupancy. Approval also requires all storage occur within the building; no outdoor storage is permitted. Hours of operation will be limited to 9 a.m. to 6 p.m. Monday through Saturday, and with card access 6 a.m. through 10 p.m. each day. A dumpster will be located within the building; no outside dumpster is permitted.

