Loganville approves funding for intersection improvements

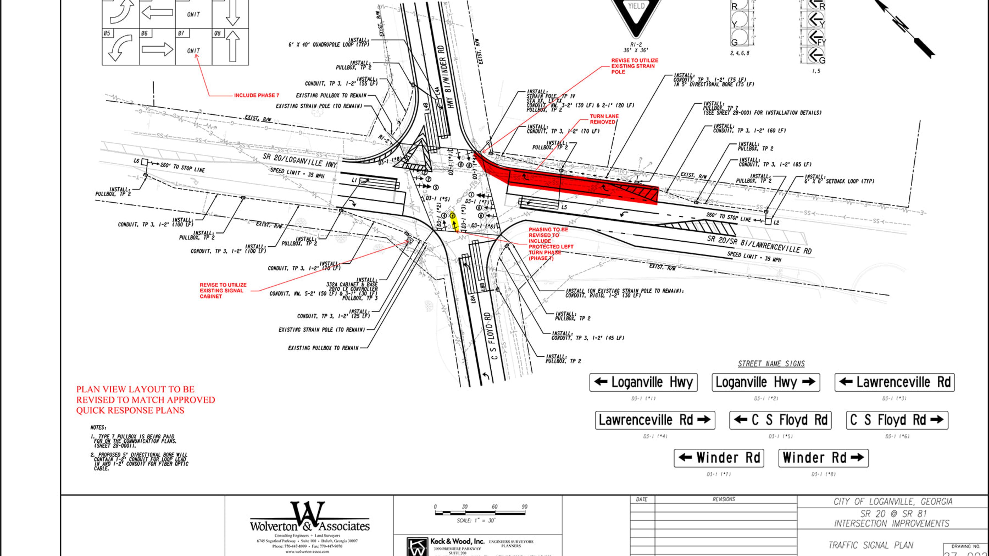
The Loganville City Council recently approved funds to begin work on improving the intersection of State Route 20/State Route 81/Lawrenceville Road and CS Floyd Road.
The intersection improvements include a dedicated left turn lane with a straight/right turn lane on S.R. 81 coming from Winder, and a dedicated left turn lane onto CS Floyd Road with a straight/right turn lane. Additionally, the project includes a left turn lane and a straight/right turn lane on Lawrenceville Road coming from Main Street (a proposed right turn only lane was removed from the project), and a dedicated left turn lane, straight and right turn lanes on Lawrenceville Road coming from Grayson.
Loganville worked with GDOT for more than two years to get these intersection improvements. The city will contribute about $100,000 to the project, with GDOT adding another $200,000 through its Quick Response Program. Construction is scheduled to begin soon.

