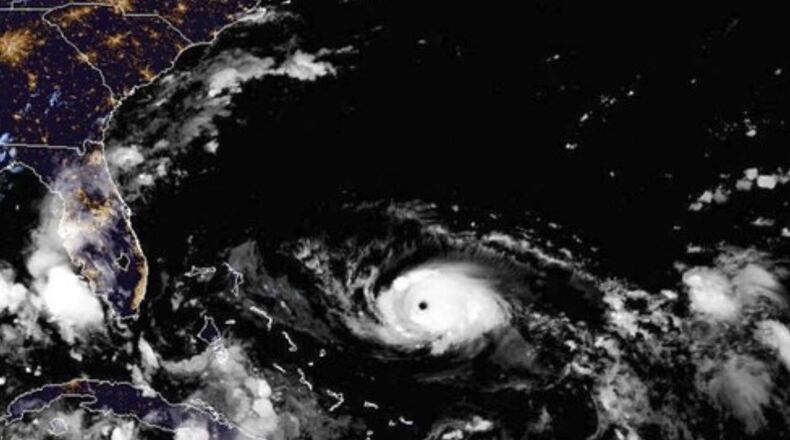
Officials from North Carolina and South Carolina declared states of emergency Friday due to possible impacts from Hurricane Dorian.
The declarations were made so the Carolinas can prepare to prevent transportation delays of emergency relief supplies and services for areas in the path of the hurricane that is expected to hit Florida.
It waives requirements for registration and weight for vehicles carrying supplies to assist hurricane victims.
For the agriculture industry, it suspends maximum hours drivers can be on the road and weight requirements for livestock trucks.
The declaration also lifts requirements for the maximum amount of hours for truck drivers.
About the Author
The Latest
Featured


