Two requests to annex property on Hwy. 54 East in Peachtree City passed the first of two steps via the City Council on June 21.
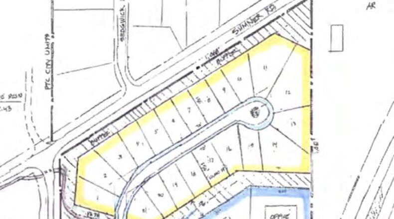
The first request, brought by Jerry Peterson, involves 28.3 acres off Sumner Road that are currently zoned agricultural residential. The application is to bring the property within the city limits for a future mixed-use commercial/office/residential complex; the council supported the measure 5-0.
The second request was from Ravin Homes, which seeks to have 105 acres annexed, including the Peachtree City East Shopping Center and an undeveloped 50-acre tract just north of it; the latter would be developed for 112 medium-density, single-family homes. The council approved the measure 4-0-1, with Mayor Vanessa Fleisch abstaining.
Each applicant may now submit a Step Two Annexation Application with the city, to provide more specific information about the plans for each site so that the City Council can make a final determination about annexation and rezoning.
About the Author
The Latest
Featured


