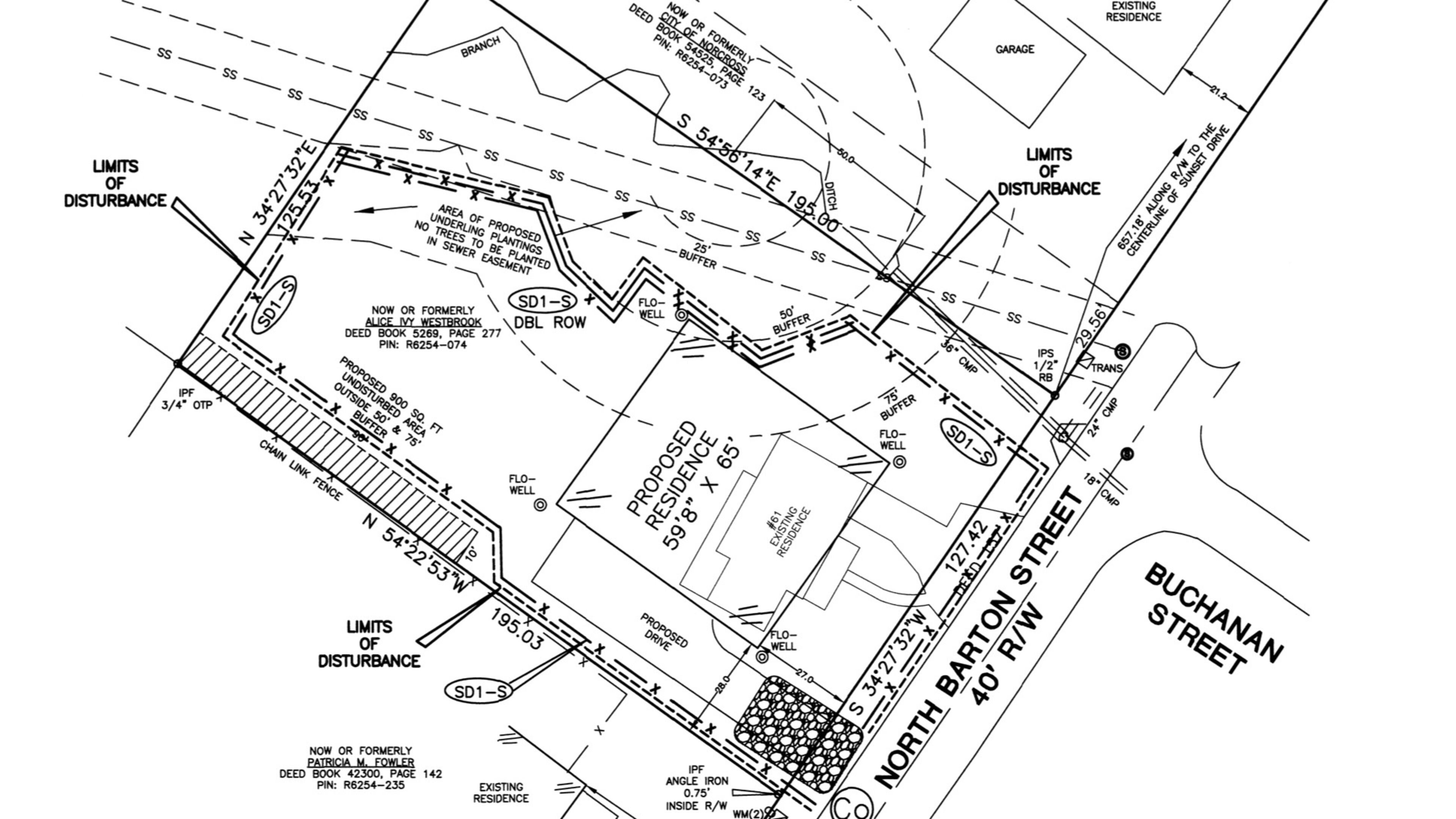
Norcross approves stream buffer variance for new home

The Norcross City Council voted recently to approve a stream buffer variance at 61 North Barton St. related to construction of a new home. The approval came after the homeowner made changes to the original site plan that included reducing the size of the home to 3,700 square feet and moving the home to remove impact to the 25-50 foot stream buffer zone. The homeowner will also replant the buffer area as a natural forest and plant ground cover and shrubs in the sewer easement area. The homeowner has also offered to give the city $2,000 toward stream restoration for the area.
The City Council approval came with several conditions including one requiring the homeowner file with and have approved by the city an exemption plat that will establish a permanent preservation easement of the mitigation areas. The applicant will also provide a two-year maintenance bond as a guarantee of the faithful maintenance of the required mitigation landscaping.

