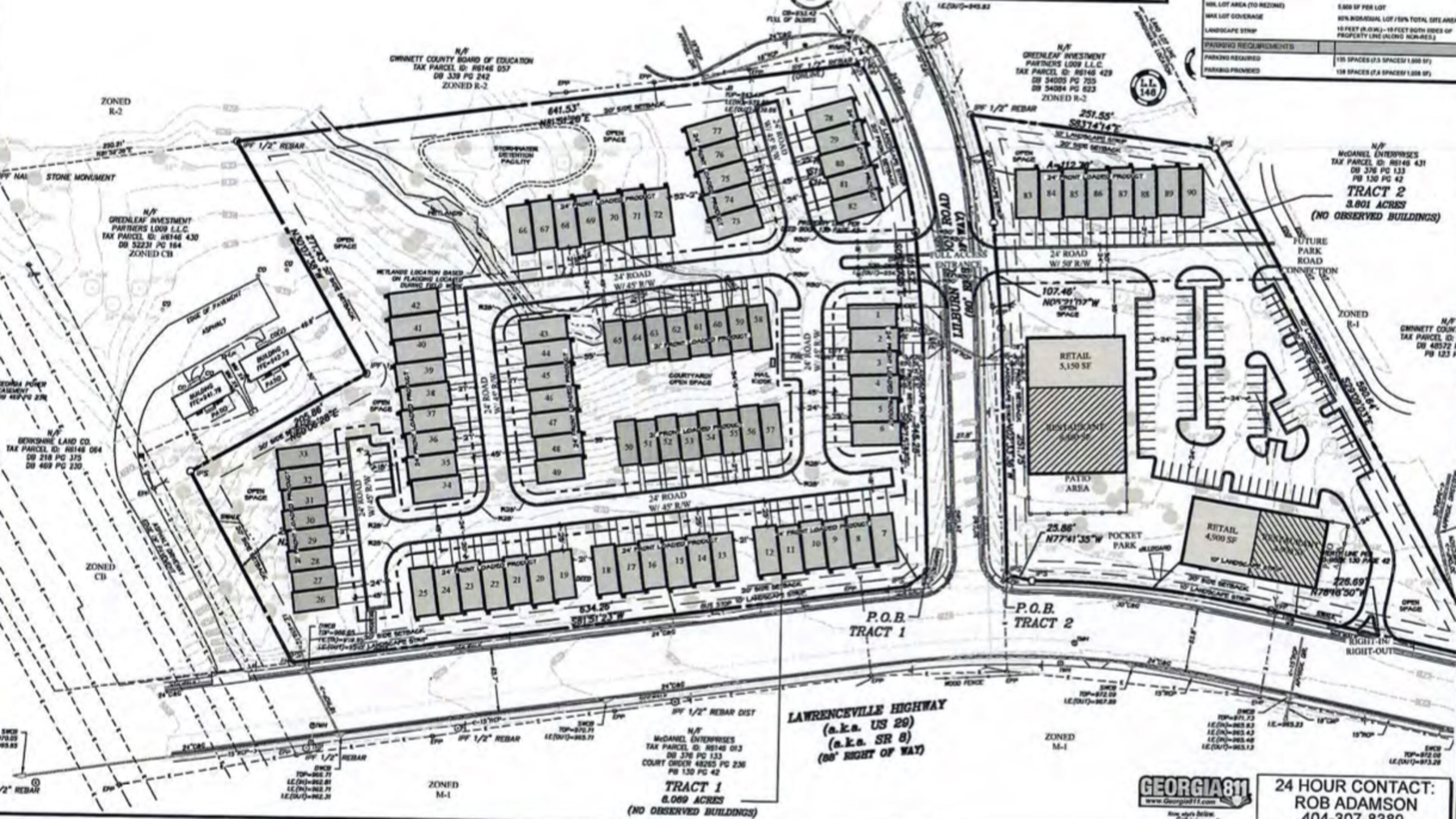
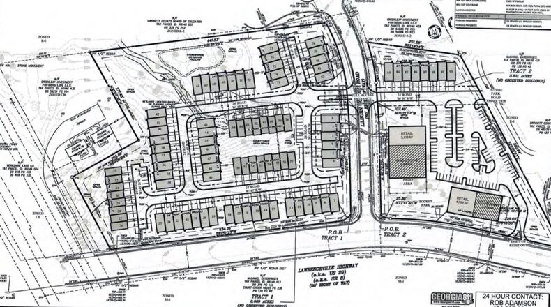
Lilburn approves plans for 90 townhomes with retail development

The Lilburn City Council recently approved a rezoning of about 11.5 acres at 5125 and 5175 Lawrenceville Highway that will allow for the development of 90 attached townhomes and 23,800+ square feet of retail and restaurant space on the site.
Rezoning of the property was approved with several conditions including the size of each townhome must be a minimum 1,400 square feet, the development must include mail kiosks that provide overhead protection from the elements, and each townhome must have additional guest parking.
Access to the development is currently proposed from Lawrenceville Highway and both sides of Lilburn School Road with a potential new road or re-alignment of Lilburn School Road as a new connection to Bryson Park. The city conditions will require the developer to dedicate a minimum 50-foot-wide right-of-way and construct a 2-lane public road to connect from the property line at Lilburn School Road to the property line at Bryson Park. The developer will also work with the city to develop a mutually agreed upon alignment of the new roadway.

