Following a recent public hearing, the Lawrenceville City Council voted unanimously to deny a request for annexation of 42.1 acres currently in unincorporated Gwinnett, along University Parkway between Buford Drive and Collins Hill Road. Had the annexation into city limits been approved, it would most likely have also come with zoning changes to allow for the development of a mixed-use project on the site.
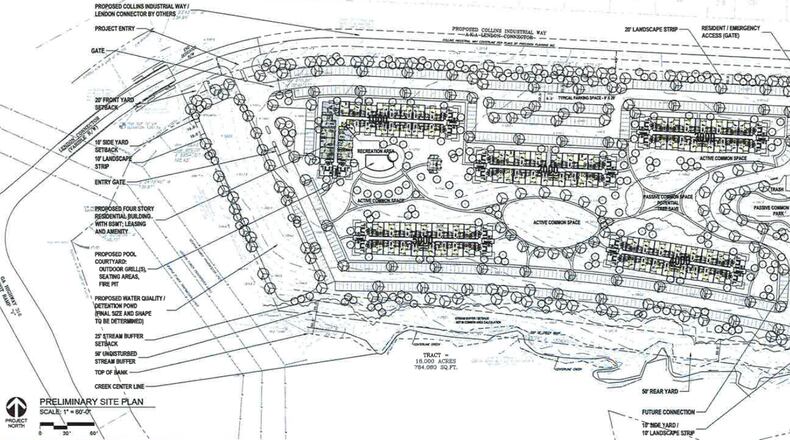
The proposed residential portion of the development would have encompassed 18 acres containing five 3-story apartment buildings. Two hundred and eight of the units would have been studio/one-bedroom apartments, and 153 would have been 2-bedroom units.
Council members noted concerns by the community about too many apartment complexes within city limits. Council member Bob Clark remarked, “What really makes a community? For one, ownership. I think people who have money in the game are more involved and concerned about the dynamics and issues where they live.” He went on to note, that if approved, these apartment dwellers will not own anything and that families with ownership will be more involved in the community.
About the Author
Keep Reading
The Latest
Featured



