Local News
Developer hopes to build 236-unit neighborhood in Braselton

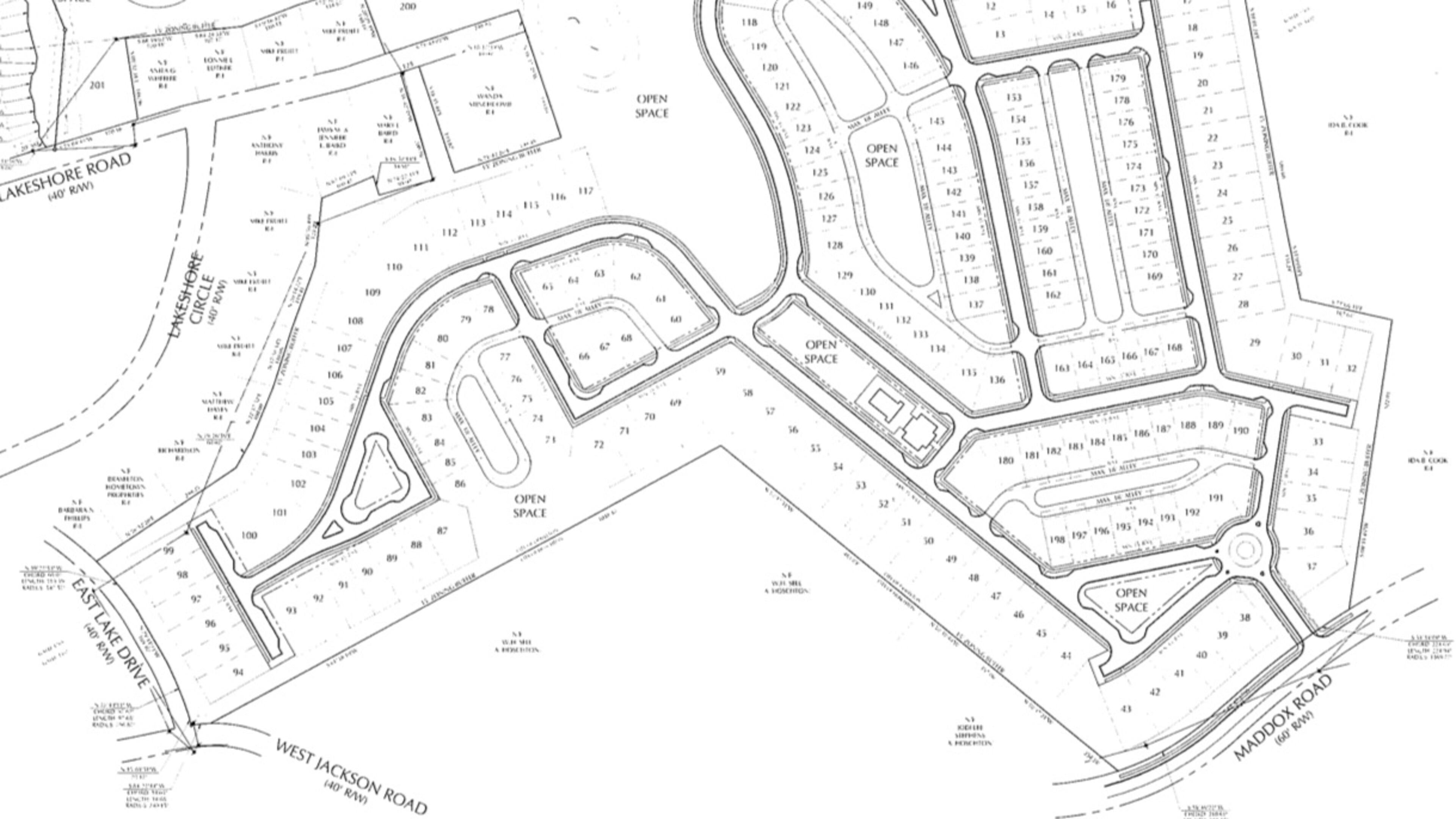
Developer homes to build 236-unit neighborhood in Braselton on 62.98 acres at Highway 124 West and Davis Street. Courtesy Town of Braselton
Braselton’s mayor and City Council will hold a public hearing to discuss a proposed 236-unit single-family neighborhood at 4 p.m. Feb. 8 at the Braselton Police And Municipal Court Building, 5040 State Route 53.
The project to be known as The Reserve is located on 62.98 acres at Highway 124 West and 9615 Davis St. The developer, Embry Real Estate Partners LLC, is proposing 201 detached homes and 35 townhomes with a minimum size of 1,800 square feet. Anticipated entrances to the development would be from Davis Street and Maddox Road.
RELATED: Actual Factual Gwinnett: Kim Basinger used to own Braselton?!

