A vacant property on Oak Road will remain zoned for office space following a decision from the Snellville City Council on a contentious proposal for a small subdivision.
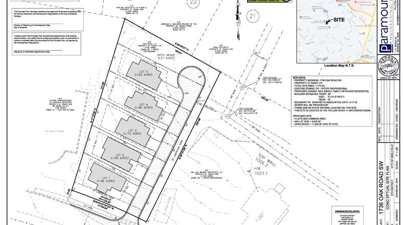
Monday evening, city officials unanimously voted to halt Fisher Allen Group from building a five-home subdivision at 1736 Oak Road. The proposal would have sandwiched the homes between a Jehovah’s Witness worship center, construction company, medical office and larger residential subdivision.
Wayne Conover, who resides in a nearby Holly Lake Circle home, said the proposal was “one of the most ridiculous things I have ever heard” while addressing the council. He added that the homes wouldn’t fit the character of its surrounding area and the council’s decision should come down to “common sense.”
About half a dozen disgruntled residents spoke in opposition to the subdivision. The council quashed the developer’s plans, denying the applicant’s rezoning and variance requests.
Jerry Oberholtzer, former mayor of the Gwinnett city, called the proposal “a prime example of spot-zoning,” considering the nearby commercial properties. After the votes, Mayor Pro Tem Dave Emanuel said allowing spot-zoning is only “one removed” from having no zoning requirements.
“Before I really took a look at this project, I was surprised by the pushback from moving something from commercial to residential,” said Mayor Barbara Bender after the votes. “But when you step back and really take a look at the area and what’s on either side and across the street, this is clearly infill development that doesn’t belong in this spot.”
Roger Fisher, owner of the development group, said he disagreed with city officials branding the proposed subdivision as spot-zoning, given there’s a larger residential subdivision to the north of it.
The city’s planning department and planning commissioners recommended the council greenlight the project with stipulations. Oberholtzer railed against the notion that an approximately $400,000 home could be classified as affordable, one of the justifications by the planning department to allowing the rezoning.
The homes would have faced a small road connected to Oak Road and ended in a cul-de-sac. Residents also voiced concerns over large vehicles, like garbage pickup trucks and school buses, being unable to turn around on the road. Fisher said the road would have had plenty of space, being the same size as a road in any other subdivision.
The two-story farmhouse style homes with prominent double garage doors would have cost about $400,000 on the low end, Fisher said. Varying in square footage, the homes would have split the planned subdivision’s 1.17-acres.
“The big tracts are starting to go away, so they’re going to have to start looking to find some areas for viable, middle-of-the-road housing,” said Fisher, adding that the council’s decision “is what it is.”
About the Author
Keep Reading
The Latest
Featured



