Sandy Springs approves patio and deck on River Run

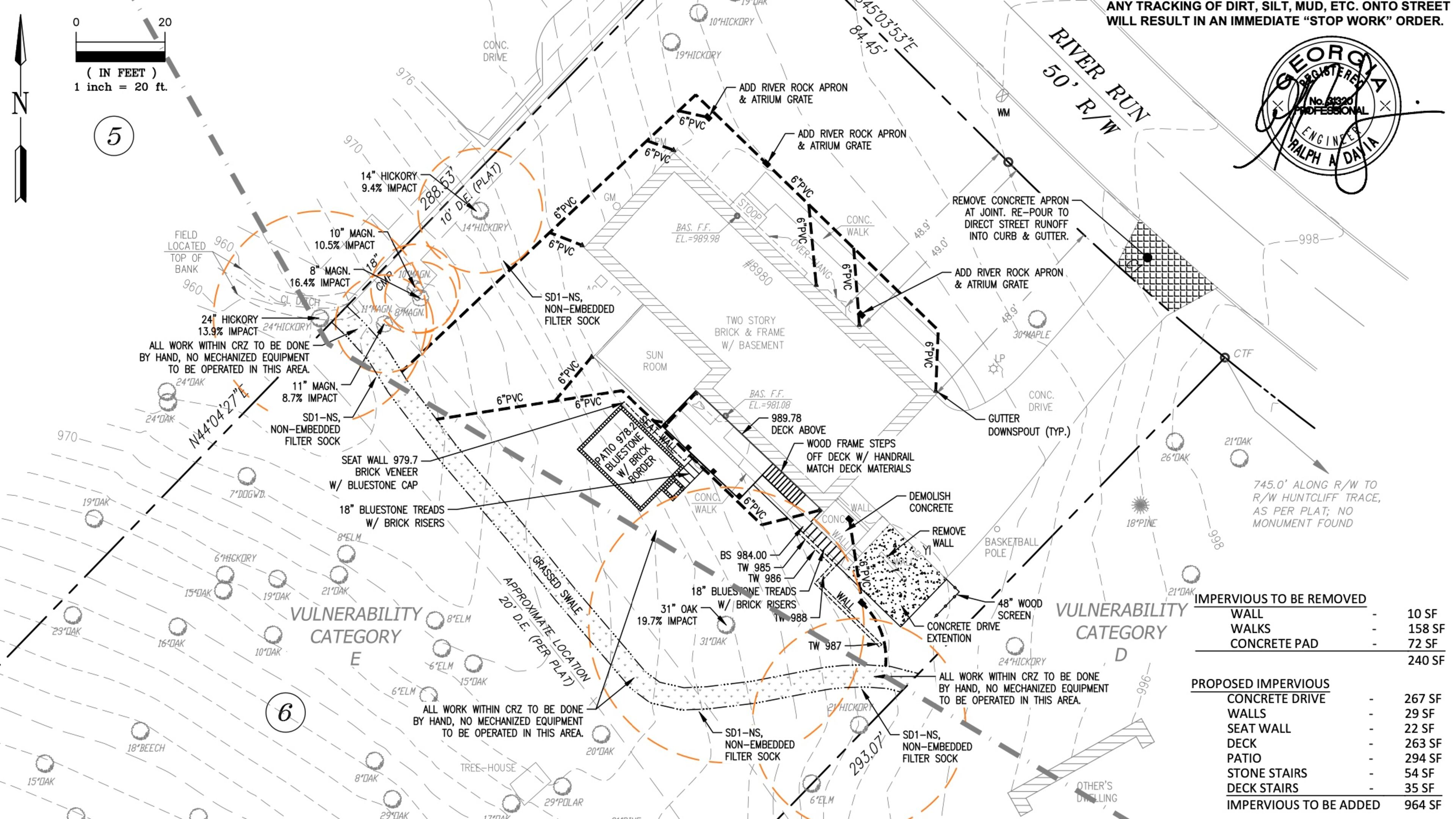
The Sandy Springs City Council recently approved a Metropolitan River Protection Act Certificate that will allow for the construction of a patio, deck and driveway extension at 8980 River Run. This follows a review and approval by the Atlanta Regional Commission.
Properties within 2,000 feet of the Chattahoochee River are subject to the Metropolitan River Protection Act. The review by the city focuses on whether the project is consistent with the Chattahoochee Corridor Plan, which limits clearing and impervious surface within the corridor.
This property owner plans to extend the concrete driveway toward the back yard and add a deck off the back of the house adjacent to an existing sunroom. Plans also include the addition of a bluestone patio with brick border on the lower level behind the house and extending out from the new deck.


