Local News
Milton approves final plans for The Grove at Sweetapple subdivision

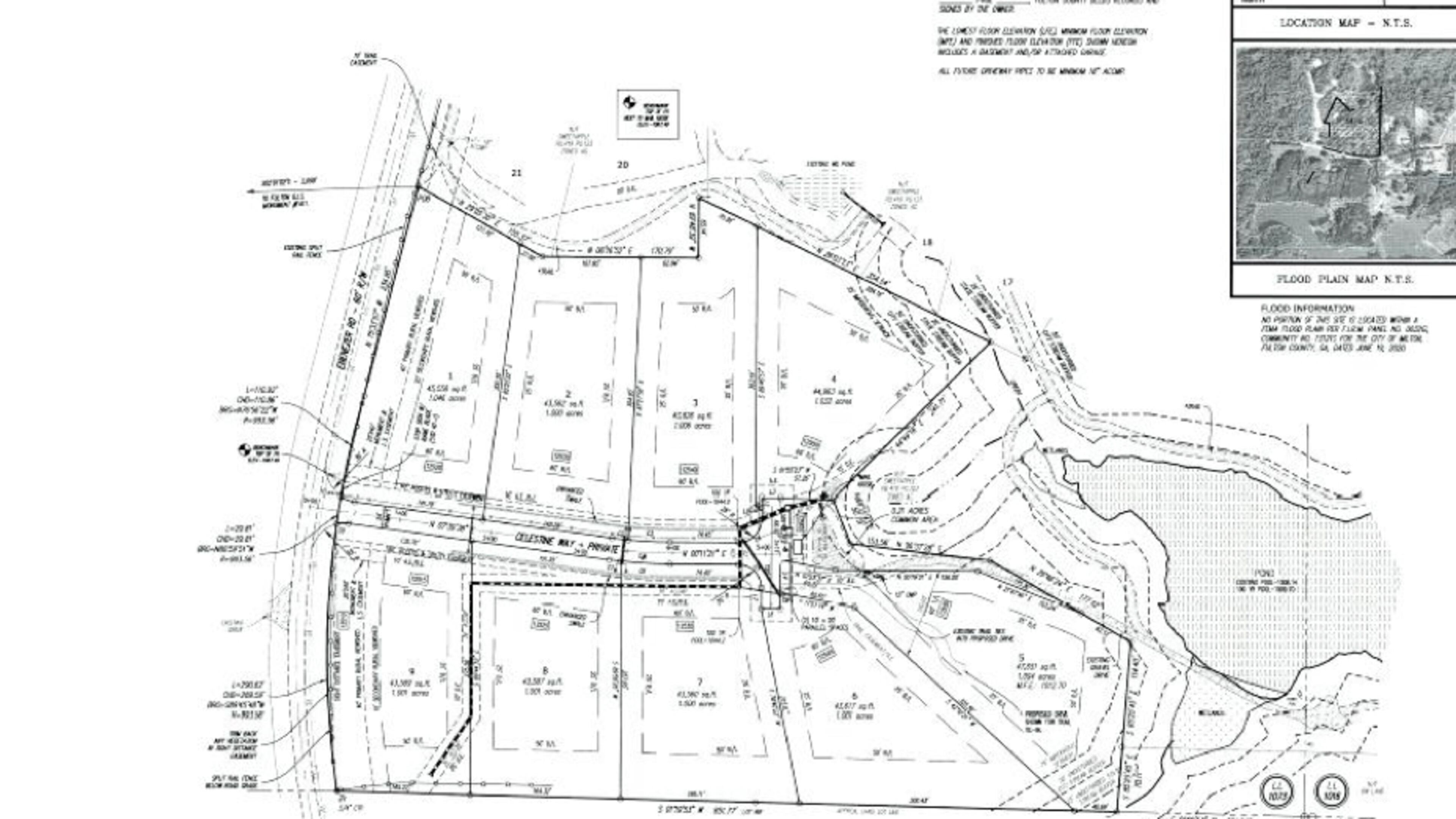
Milton has approved the final plat for what is being called The Grove at Sweetapple subdivision on Ebenezer Road. (Courtesy CIty of Milton)
The Milton Subdivision Regulations require that the city’s mayor and city council approve all final plats, final plat re-recording, revisions and minor plats once documents have been reviewed and certified by the Community Development Director. At the city’s most recent council meeting, officials approved the final plat for what is being called The Grove at Sweetapple subdivision on Ebenezer Road.
The subdivision will include nine single-family lots spread across 9.71 acres that includes a pond. There will be a single rural entryway road from Ebenezer Road.
The homes are expected to be similar to those in Brightwater Homes’ Sweet Apple subdivision at around 3,000 to 4,000 square feet and priced at around $900,000 to $1 million.

