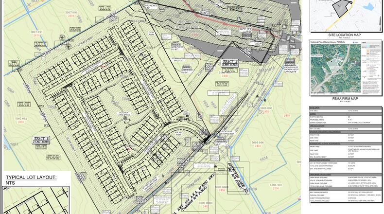
The Snellville City Council recently agreed to table a decision on a proposal to build a 101-unit townhome development at 2465 Scenic Highway South/Ga. 124. The proposal by Meritage Homes of Georgia (applicant) and Crawford F. Juhan, Jr. (property owner) and Edjen Finance, LLC (property owner) would build 6.859 units per acre on a little over 14 and a half acres.
If approved as presented, the development would have one entrance from Scenic Highway at the intersection with Ashworth Lake Road. The neighborhood would have 336 parking spaces, including 303 for residents based on two-car garages and driveway space, plus 33 guest parking spots throughout the development. Open space would total 5.6 acres, including a pocket park, outdoor living space and dog park as well as stream buffer areas.
The city council will revisit the issue following a public hearing at 7:30 p.m. Mar. 22 at City Hall, 2342 Oak Road.
About the Author
Keep Reading
The Latest
Featured



