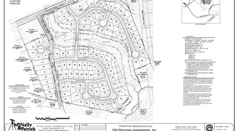
The Braselton Planning Commission will hold a public hearing at 7 p.m. March 22 in the courtroom of the Police & Municipal Court Building, 5040 Highway 53, on a proposal to create a 106-home subdivision fronting both Hoyt Wood Road and Ednavillle Road in Braselton.
The project submitted by Old Norcross Investments, Inc. is seeking annexation and zoning changes for the project on just over 55 acres. Homes in the community will be constructed with a minimum of 2,000 square feet. The plan includes exterior façades constructed with accents of brick, stacked stone, cedar shake, stucco or fiber cement siding and double car garages. Access to the development would be via one entrance off of Ednaville Road and multiple entrances from Hoyt Wood Road.
The Braselton Mayor and Council will hold a public hearing on the plan at 4 p.m. April 8 at the same location.
Information: Kevin Keller at kdkeller@braselton.net.
About the Author
Keep Reading
The Latest
Featured


