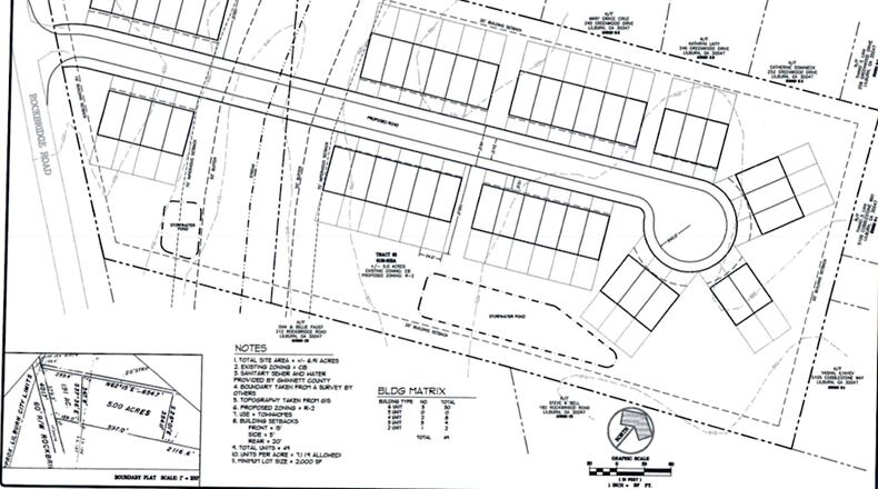
The Lilburn City Council recently approved a rezoning request by H.F. Holdings to develop a residential subdivision with 49 townhomes. The project will sit on approximately 7 acres at 242 and 280 Rockbridge Road. The homes will be 2+ stories with garage space and a minimum 2,000 square feet per lot. Access will be provided with a single entrance on Rockbridge Road.
The approval comes with conditions including side and rear setbacks adjacent to the buildings will include a minimum 5-foot wide evergreen landscape strip, except where pedestrian connectivity is proposed. Pedestrian connectivity will be provided throughout the development and within the common area to the adjacent right of way on Cobblestone Way. Mail kiosk, if provided, will include overhead protection from the elements.
Building elevations will be provided to Department of Planning and Economic Development for approval, with architectural treatments that result in compatible but unique individual housing units within each building.
About the Author
The Latest
Featured


