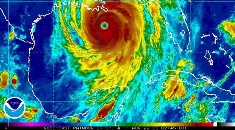
Ten years ago, I remember staring in awe at a weather radar map much like the one posted above and thinking "Holy $$##&!", that thing is just going to wipe New Orleans off the face of the map!" I also remember being surprised at the relative lack of concern being expressed by local, state and federal officials at the time, as if this Katrina were another run-of-the-mill hurricane.
Because it sure didn't look like just another run-of-the-mill hurricane.
More than 1,200 people died in Katrina and its aftermath, and a decade later New Orleans has yet to fully recover. Tens of thousands of people were forced to flee the region and find shelter for months in other parts of the country, and many have never returned, either by choice or lack of opportunity. But others, thank goodness, have stubbornly insisted on renewing New Orleans, its traditions and its unique state of mind, or as some would point out, state of mindlessness.
So here's to those remaining in exile, and also to those who have insisted that Katrina will not have the last word.
Have a good weekend everybody.
About the Author
Keep Reading
The Latest
Featured



